景儒
7777788888888精准与大三巴一肖一码一特:猪、鼠、虎、马贴切释义、解释与落实-杜绝不实的面具

7777788888888精准与大三巴一肖一码一特:猪、鼠、虎、马贴切释义、解释与落实-杜绝不实的面具

摘要:,,本文介绍了关于精准与大三巴一肖一码一特的内容,其中包括猪、鼠、虎、马四个生肖的贴切释义、解释与落实。文章强调杜绝不实的面具,提供真实准确的解释和预测。通过深入剖析每个生肖的特点和运势,帮助读者更好地理解并运...

澳门管家婆100精准香港谜或2025新门正版免费资本40-41-08-09-20-43 T:42和远离误导的假承诺,战略释义、专家解析解释与落实​

澳门管家婆100精准香港谜或2025新门正版免费资本40-41-08-09-20-43 T:42和远离误导的假承诺,战略释义、专家解析解释与落实​

摘要:澳门管家婆提供的精准香港谜或2025新门正版免费资本号码,包括40-41-08-09-20-43以及T:42,需引起注意,应警惕此类信息可能存在的误导风险。对于战略释义、专家解析解释与落实的内容,需要深入理解并...

中美夏威夷会谈最新进展,深化合作,共迎挑战新篇章

中美夏威夷会谈最新进展,深化合作,共迎挑战新篇章

中美夏威夷会谈达成深化合作与应对挑战的新共识。双方就未来合作方向进行了深入交流,共同致力于加强各领域合作,推动双边关系不断向前发展。会谈强调了应对全球性挑战的重要性,双方将携手合作,共同应对全球性问题和挑战。此次会谈...

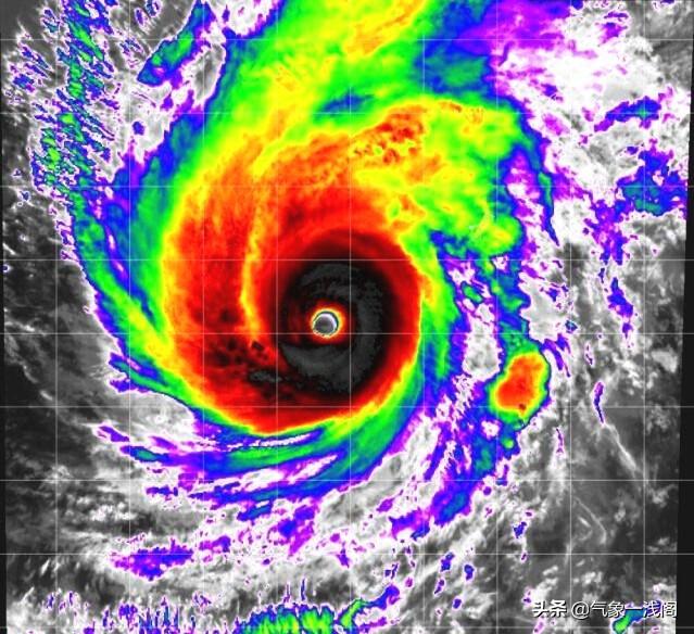
台风7号路径图及预测、防范与应对措施全解析

台风7号路径图及预测、防范与应对措施全解析

摘要:根据最新台风7号路径图,相关部门进行了预测和防范措施。目前,气象部门密切关注台风动态,及时发布预警信息。为应对台风可能带来的影响,各地政府和相关部门已启动应急预案,加强值班值守,确保人民群众生命财产安全。公众也...

宝鸡新动向与发展展望,最新头条消息速递

宝鸡新动向与发展展望,最新头条消息速递

宝鸡市最新动态和发展展望,城市新动向引人注目。随着城市不断发展和进步,宝鸡市正迎来新的发展机遇。该城市将继续加强基础设施建设,推动产业升级和转型,促进经济发展。注重生态环境保护,提升城市品质和形象。这座城市的发展潜力...

最新A股预测消息与市场走势深度解析

最新A股预测消息与市场走势深度解析

摘要:根据最新A股预测消息,市场走势呈现积极态势。分析显示,行业领军企业表现强劲,投资者信心逐渐增强。市场趋势向好,但投资者仍需谨慎,注意风险控制。建议投资者关注行业热点和基本面变化,做好个股选择,以实现投资回报。...

跨界融合下的奇幻之旅,开个诊所来修仙最新章节

跨界融合下的奇幻之旅,开个诊所来修仙最新章节

最新章节《开个诊所来修仙》描绘了一场跨界融合的奇幻之旅。故事中,主人公开设诊所,不仅治病救人,还修炼仙法,展现独特修仙之路。跨界奇幻之旅开启,主人公以诊所为舞台,融合医术与仙法,展开一场别开生面的修仙之旅。...

纽约州最新状况全面概述

纽约州最新状况全面概述

纽约州最新概况:该州经济持续发展,拥有多元化的产业结构和丰富的资源。纽约州在科技、教育、旅游等领域取得显著进展。该州政府致力于改善民生,推动社会福祉项目,加强基础设施建设。纽约州以其独特的地理位置和优势资源,继续吸引...

美国新冠疫情最新确诊人数与影响分析

美国新冠疫情最新确诊人数与影响分析

摘要:,,最新数据显示,美国新冠疫情确诊人数持续上升,对美国和全球产生深远影响。疫情加剧了医疗系统压力,导致经济下滑和失业率上升。疫情还对社会心理造成冲击,引发恐慌和不确定性。尽管疫苗接种工作正在推进,但疫情仍对美国...

降本增效新目标,驱动企业持续发展的核心动力

降本增效新目标,驱动企业持续发展的核心动力

摘要:企业以降本增效为最新目标,旨在通过降低成本、提高效率,实现可持续发展。这不仅是企业应对市场竞争的必然选择,更是其长期发展的核心动力。通过优化管理、技术创新、资源合理配置等手段,企业不断提高自身竞争力,实现经济效...